![]() | ![]() |

全外顯子組測序(Whole Exome Sequencing,WES)是對整個基因組的全部基因編碼區進行測序。人類基因組大小約 3G 個堿基,而基因編碼區只占 1 -2%,大約 30M 個堿基。而編碼區出現的變異往往會導致嚴重的后果,是大多數遺傳病或腫瘤發生的直接原因。因此,對外顯子區域進行測序是經濟有效的方法之一。

全外顯子組測序利用 Agilent SureSelect 捕獲探針雜交富集外顯子區域的 DNA 序列,結合高通量測序,可以發現外顯子區域相關變異信息。


Illumina 高通量測序平臺

發現外顯子區域的突變,尋找突變與遺傳病、復雜疾病、腫瘤等疾病的關系。

作為 Agilent 公司的認證服務商,伯豪采用穩定的 SureSelect 捕獲系統進行全外顯子組捕獲;
伯豪樣本中心具有十年特殊樣本處理經驗,針對 FFPE、特殊腫瘤等樣品有豐富經驗;
具有豐富的遺傳病和腫瘤隊列研究經驗,幫助客戶發表多篇高分文章;
專業報告解讀系統,對臨床應用支持良好。



樣本類型:DNA、組織、細胞、全血等;
DNA 總量:DNA≥ 2 μg;濃度:DNA≥ 50 ng/μl;要求主帶清晰,無降解,濃度大于 50ng/ul,總量大于 1ug,OD260/OD280 =1.8~2.0,OD260/OD230=1.5 ~2.2。
測序深度:≥100X;
測序讀長:2*150bp。
數據分析內容


案例一【伯豪文獻】全外顯子測序發現急性紅細胞白血病新突變

急性紅細胞白血病(AEL)是白血病(AML)亞型中的一種,在老年人白血病中的占比較高。相對于其他類型的 AML,AEL 病人有更加 poor-risk 的細胞遺傳學異常和不良的預后。雖然針對 AEL 的外顯子突變位點發現已有一些報道。但是,針對 AEL 的完整突變譜發現還沒有相關報道。研究人員運用外顯子組測序技術,發現了 AML 相關的高頻突變基因 GATA2 和 CEBPA 等突變,為理解急性紅細胞白血病的發生發展過程提供了新的證據。



本研究通過外顯子組測序,發現了 AEL 相關的特異性體細胞突變。其中,對 GATA2 的大樣本驗證及不同類型白血病樣本驗證,表明其實 AEL 所特有的高頻突變。此外,通過突變轉染的細胞實驗研究表明,GATA2 的突變影響力紅細胞的發育過程。該研究為理解急性紅細胞白血病的發病機制提供了新的證據。

AEL 中的突變【a】58 個 AEL 病人的突變分布圖;【b】GATA2 蛋白的結構;【c】GATA2 突變在 AML, CML-BC, MDS 及 ALL. 中的患病率。

Ping N, Sun A, Song Y,et al. Exome sequencing identifies highly recurrent somatic GATA2 and CEBPA mutations in acute erythroid leukemia. Leukemia. 2016.
案例二:【伯豪文獻】全基因組連鎖分析和外顯子測序在非綜合征耳聾家系中鑒定 DMXL2 致病變異

目前已知有超過 100 多個基因,其所含的致病變異會對聽覺系統造成不同的功能影響,并引起相應的聽力損失。但對非綜合征耳聾而言,依舊有超過 50 多相關位點的遺傳致病機制還未詳細闡明。本文利用全基因組 SNP 芯片及全外顯子組測序技術對一非綜合征耳聾家系中的 21 個樣本進行全基因組連鎖分析,并通過對個別家系樣本進行全外顯子組測序和對所有家系樣本進行 Sanger 測序來鑒定候選的致病變異。



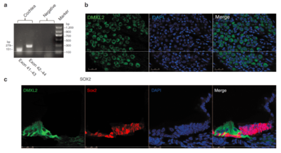
全基因組連鎖分析在家系中的 10 個 case 及 11 個 control 中進行(圖 1a),分析得到 9.68Mb 的致病候選區段,LOD 值為 4.03(圖 1c)。該區段中未發現與綜合征或非綜合征耳聾相關的已知致病基因,因此,該家系聽力喪失的癥狀可能是由一個新基因變異造成。文章隨后對家系中三個患病個體及一個正常對照個體進行了全外顯組測序(平均測序深度 >100X)。候選變異需為編碼區的無義變異、錯義變異,位于可變剪切位點的變異和 InDel 變異,以及人群數據庫中變異頻率小于 0.001 的變異等,分析得到 3 個候選致病變異。研究人員對家系所有 22 個樣本,尤其是對 II- 2 樣本進行 sanger 測序,鑒定出一個在家系個體中呈現共分離的變異位點 DMXL2: NM_001174116:exon29:c.7250G>A:p.Arg2417His(圖 2)。后期的小鼠功能實驗發現 DMXL2 基因可能對內耳功能有重要作用(圖 3)。

▲圖 1【a】患有常染色體顯性的非綜合征聽力喪失家系圖譜。箭頭所指為先證者,星號標記的個體參與了 SNP 芯片連鎖分析,三角標記個體(II-1,IV-1,IV-4,IV-6)則后續用來進行全外顯子組測序,下劃線標記個體 II-2,則包含了一個關鍵的重組事件。 【c】15 號染色體連鎖分析的 LOD 值,當把 II- 2 個體包括后,其大的 LOD 值達到了 4.33。

▲圖 2【a】變異和參考序列的色譜圖。【b】DMXL2 的 Arg2417 殘基在 Homo sapiens, Mus musculus, Bos taurus, Canis lupus, Gallus gallus 和 Danio rerio 中具有保守性。【c】DMXL2 蛋白的功能域和 p.Arg2417His 變異的位置。

▲圖 3 小鼠耳蝸中 Dmxl2 的表達情況。【a】RT-PCR 檢測從 P1 小鼠耳蝸提取總 RNA 的 Dmxl2 表達情況。小鼠尾巴的基因組 DNA 作為陰性對照。【b】免疫染色實驗表明 DMXL2 在小鼠柯蒂氏器官的螺旋神經節中有表達。【c】免疫染色實驗表明 DMXL2 在小鼠的毛細胞和螺旋神經節的神經纖維細絲中有表達。

Chen, D.Y., et al., A dominant variant in DMXL2 is linked to nonsyndromic hearing loss. Genet Med, 2016.
| 序號 | 文章名稱 | 伯豪生物科研服務 | 樣本類型 | IF |
| 1 | NPHS2 gene polymorphism aggravates renal damage caused by focal segmental glomerulosclerosis with COL4A3 mutation | Whole-exome sequencing | 血液 | 3.976 |
| 2 | Effects of childhood trauma experience and BDNF Val66Met polymorphism on brain plasticity relate to emotion regulation | Whole-exome sequencing | 血液 | 3.352 |
| 3 | Polydactyly Patient Carried a Mutation of PTCH1 Which Has Been Identified in Nevoid Basal Cell Nevus Syndrome | Whole-exome sequencing | 血液 | 3.55 |
| 4 | An HNSCC syngeneic mouse model for tumor immunology research and preclinical evaluation | Illumina RNA Sequencing whole exome sequencing |
細胞 | 5.314 |
| 5 | Integrated Omics of Metastatic Colorectal Cancer | Illumina RNA Sequencing whole exome sequencing |
組織 | 38.585 |
| 6 | SCN9A Epileptic Encephalopathy Mutations Display a Gain-of-function Phenotype and Distinct Sensitivity to Oxcarbazepine | whole-exome sequencing | 血液 | 5.271 |
| 7 | FLNC and MYLK2 gene mutations in a Chinese family with different phenotypes of cardiomyopathy | Illumina RNA Sequencing whole exome sequencing |
血液 | N/A |
| 8 | Novel In-Frame Deletion Mutation in NOTCH1 in a Chinese Sporadic Case of Adams-Oliver Syndrome | Illumina RNA Sequencing whole exome sequencing |
血液 | 3.55 |
| 9 | B lymphocytes expressing high levels of PD-L1 are key regulators of diabetes development in non-obese diabetic mice | Illumina RNA Sequencing whole exome sequencing |
組織 | 4.174 |
| 10 | …… |
-END-


